Ask any scuba diver where they would most like to dive in the world, and the Red Sea is sure to be on their list. Its surface may be surrounded by arid, desert landscape, but below the waves lies a world teeming with vibrant life. Piles of colorful corals are home to vast species of fish and other marine life, and there is amazing diving to be had steps away from the coast. Vince and I went on a beautiful dive in the Red Sea in Aqaba, Jordan in 2019, and I knew that I would be back the minute another opportunity arose.
When Jared said that he wanted to stop in Jeddah during our trip to Saudi Arabia because he and Rachel hadn’t seen the Red Sea yet, I took it as my cue to pick out a dive shop. I ended up contacting Ehab of Dive Point Jeddah and booking a two tank dive for myself and Vince. Rachel and Jared aren’t divers, so they booked a snorkeling tour so they could explore the reefs too.
On our first morning in Jeddah, Vince and I dropped Rachel and Jared off for their snorkeling tour, and then went to Dive Point and got breakfast at a neighboring cafe while we waited for Ehab to open up shop. Once he arrived, he set us up with gear, and then we loaded into his truck and drove a short distance to a nearby beach. Ehab gave us a dive briefing, promising that we were about to see tons of wildlife, and then we geared up and walked into the water from a platform that was built into the rocky shoreline.
I deflated my BCD and slipped under the surface, my eyes adjusting from the bright sunlight to a calm wash of aqua blue. It was immediately apparent that this reef was positively brimming with life. Schools of sparkling fish congregated just past a drop off, and as if to welcome me back to the sea, a needlefish swam right alongside me as though I were just another creature that belonged on the reef.
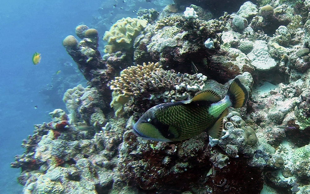
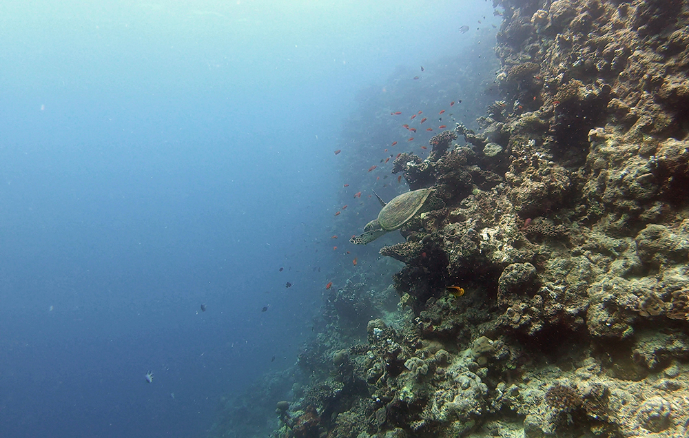
The rest of the first dive felt like it passed by quickly because we encountered more amazing species every couple of minutes. Nearly every anemone had a pair of Red Sea clownfish darting in and out of its tentacles. A silvery barracuda lurked in the water well above our heads as a green turtle paddled towards us. Right after we came across the most beautiful lionfish I’ve ever seen, we met with a gorgeous titan triggerfish and I was able to check another species off my mental list.


Even after we turned the dive, we continued to see new and exciting animals, including a giant puffer fish (yes, it was huge), and a school of tiny squids that hovered out to sea. I think they were probably bigfin reef squid based on our location and their general shape, but it was very difficult to tell since we didn’t get very close to them. This was my first time ever seeing a squid, and I was absolutely geeking out about it when I noticed that Vince was no longer by my side.
I turned around and saw him hovering over a coral a little ways behind me, pointing down and making the hand signal for octopus. Ehab and I went over to investigate, but by the time we got there, the octopus had retreated into a hole in the coral and was out of sight. By now we were nearing 50 bar, so we ascended along a rope and did a five meter stop before surfacing.
The reef was shallow, so we’d gotten a solid 50 minutes of dive time out of our tanks. Now we had an hour’s surface interval to rehydrate, write on our log books, and relax in the shade. I undertook the mission of befriending a couple of skittish kittens that were racing around, trying to beg food from the employees of the nearby beach bar. Every time the kittens would approach me, they would quickly loose their nerve and scamper away, but by the end of our surface interval one of them was sitting by my side enjoying being petted.
Ehab talked about some of the species he still hoped we’d see while we geared up and did our buddy check for our second dive. He was surprised that we hadn’t seen a crocodilefish yet, and he assured me that we would find the octopus again. For this dive we would start out with the current and have to swim against it on the way back, so Ehab instructed us to turn the dive when we hit 140 bar, to save enough air for a more difficult swim back. This meant that I would most likely be the one to turn the dive because my tank had about 10 bar less than the other two (Vince and I usually consume air at a similar rate). He also told us not to go deeper than 14 meters, so we could try to get 60 minutes of bottom time.
Now that we were ready to go, we slogged back over to the dive deck, laden with heavy gear. I was glad to feel weightless again once we started descending. This time we stopped at the sandy bottom next to a large underwater platform, and Ehab began making the hand signal for crocodilefish. I’d never seen one before, but the reason for its strange name couldn’t have been more obvious. The long, flat fish camouflaged well with the sand, and it had a pair of eyes protruding from the top of its head just like a crocodile’s.
It was easily amongst the strangest fish I’ve ever seen, and we were lucky enough to see two of them right in the same area. The giant puffer was still hanging out around the platform too, and we got a better look at it this time.
True to Ehab’s dive plan, we swam with the current, stopping to look at a couple of moray eels, some sea cucumbers and giant clams, and eventually the octopus! I got a good look at it this time, even though it was still lurking underneath some coral. I could see the pattern and texture of its skin changing by the second. This was also my first wild octopus sighting, which is a hope of mine every time we go on a dive. Cephalopods are fascinating to me (particularly because of their ability to change their appearance), and now I’ve seen cuttlefish, squid, and an octopus!
We were peering into a massive anemone full of countless fish when my tank hit 140 bar. I signaled to Vince and Ehab to turn the dive, and we swam back against the current. On the way back to the platform, we saw an orange face butterflyfish, and a stonefish (the most venomous known fish) that I nearly missed because it was camouflaged so well with the rock it sat atop.


My dive computer read 63 minutes when we made our five meter stop. This was both the longest dive Vince and I have ever done, and one of the most biodiverse sites we’ve ever dived. I don’t think we’ve seen so many species at one site since we took our open water course in the Komodo Islands.
After filling out our logbooks and returning to the dive shop to wrap up, we picked up Rachel and Jared, and went into Jeddah to find a PCR testing site, since this would be our last night in Saudi Arabia. We all got our sinuses tickled and then made a pit stop at our airbnb to clean up and change before dinner. Our evening was spent wandering the maze-like souk in Old Jeddah, where we finished up our souvenir shopping, and found plenty of gifts to bring home to our families. At the end of the night, we drove to the waterfront to get a glimpse of the world’s tallest fountain, which rose up from the bay and was visible from miles away.


When we finally got back to our villa, we were in for one of the best surprises of our trip. Mohammed, the friend we had made on our first night in Riyadh, had sent a cake to our villa. He’d had it custom made with the group picture we’d taken together. It was such a thoughtful gift, and we all sat down and made a video message to thank him for everything he’d done to welcome us to Saudi Arabia. He’d made our trip truly special, and we were so that we got to meet him and Nasser, and their families.
Since we’d already eaten a hefty dinner, we saved the cake for breakfast the next morning. I made sure to get the slice with my own face on it. It was already hot out even though it was early, so we jumped into the villa’s pool and swam laps until it was time to check out. Our flight out of Jeddah wasn’t until later that evening, so we filled the day doing whatever random activities we could think of.
First we stopped at a supermarket to get some non-perishable foods to bring home (we also bought some mezze items to snack on in the car), then Vince drove us to the Fakieh Aquarium where we spent a few hours looking at beautiful fish in their many tanks.
A few of the fish (and one very enthusiastic penguin) came right up to the glass to watch us watching them. Everyone’s favorite tank was the underwater tunnel where sharks and turtles swam over our heads. A diver was working inside the tank, and the turtles kept coming up to him for pets. I’ve never really had a very specific idea of a “dream job,” but in that moment, I had found my dream job. If only my home town had an aquarium.
After leaving the aquarium, attempted to visit the famous Al Rahma, or floating, Mosque, but there was extensive construction going on for a new formula 1 racing track, and all of the streets leading to the mosque were blocked off. Eventually we had to admit defeat and instead went and grabbed dinner before finishing our day by visiting the Tayebat City Museum. It was dark by this time, and we had a little trouble finding the entrance, but eventually we made it to the museum and took a somewhat condensed tour since we’d arrived near closing time.
A guide showed us around an extensive floor of exhibits dedicated to the history of Saudi Arabia, which included maze-like hallways leading to chambers that depicted many styles of homes from different eras and regions. The museum had seemingly endless displays of artifacts, and we were shocked to learn that it was all a single person’s private collection.
My favorite part of the tour was when the guide led us down to a floor that was entirely dedicated to Islamic Art. He asked that we refrain from taking pictures on that floor, so I tucked my cameras away, as he showed us rooms upon rooms filled with precious gems, ancient copies of the Qur’an, and most notably, a large piece of a Kiswah that had once covered the Kaaba in Makkah. The Kiswah is a curtain made of black silk with a band of text from the Qur’an embroidered with fine gold wire. The Kiswah is replaced each year during Hajj, and the previous year’s is cut into pieces and given to certain people or organizations. We could clearly see the fine threads of gold that made up the intricate embroidery; it was beautiful craftsmanship.
It would have been easy to spend several more hours exploring the museum’s vast exhibits had we come earlier in the day, but we were glad that we got to at least see a small fraction of it massive collection. As we left the Tayebat, it suddenly hit me that our trip was really over. We had time to look around a couple of nearby antique stores, and then we had to head to the airport. Saudi Arabia had been a beautiful country and I felt extremely luck to have been able to visit since tourism is so new there. So many things are changing in KSA right now, so it was a really unique time to travel there. We experienced endless natural beauty, and learned from so many historical sites, but by far my favorite part of the trip was meeting people. Everyone we met was so kind, and made us feel welcome, and that made our experience truly special.






































Love to live in your trips through you. This is especially interesting. Love you sweetie Grandma
Thanks, Grandma, love you too!